USD 95,000

Terreno de 600m2 Financia 50% Jardines de Pinares - Ultimos lotes
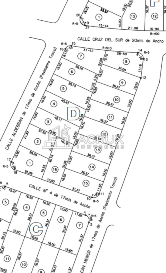
Terrenos en Venta – Jardines de Pinares

Parada 27 de Playa Mansa – Punta del Este

A solo 800 metros del mar
Zona residencial
Entorno natural, tranquilo y rodeado de servicios

Características de los Lotes

Superficie: 600 m²

Frente: 16 metros

Apto PH – posibilidad de construir 2 unidades por lote

Altura permitida: 7 metros




Caracteristicas

  • Barrio: : Pinares 
  • Vista : : 360 Grados 
  • Distancia al Mar : : 700 
  • Superficie m2 : : 600 
  • Frente mts : : 16 
  • Fondo mts : : 16 
  • Lateral mts : : 36 
  • Edificable m2 : : 200 
  • Apto PH : : Si 
  • Cantidad Pisos : :